


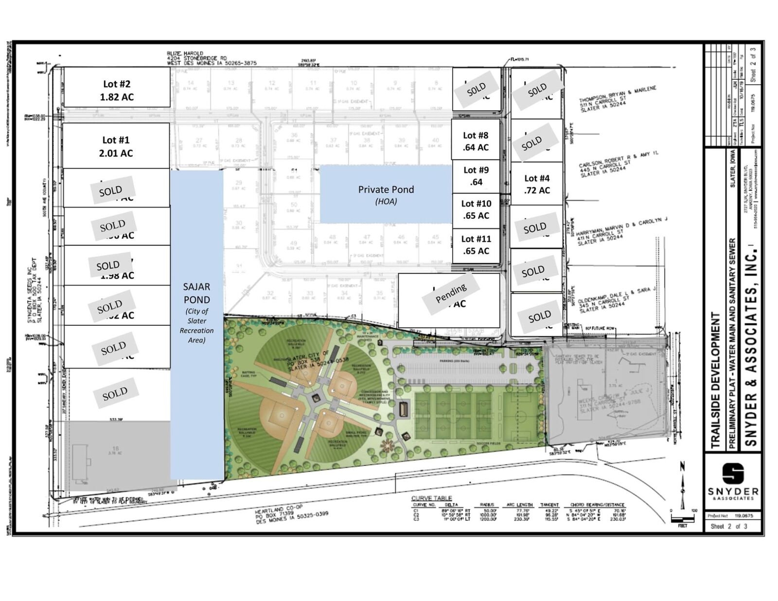
454 500th Avenue Slater, IA 50244
727589
2.02 acres
Land
Listed By
IOWA AOR
Last checked Oct 28 2025 at 5:00 AM GMT-0500
- Utilities: Electricity Available, Water Source: Public
- Sewer: Public Sewer
Estimated Monthly Mortgage Payment
*Based on Fixed Interest Rate withe a 30 year term, principal and interest only
Description