


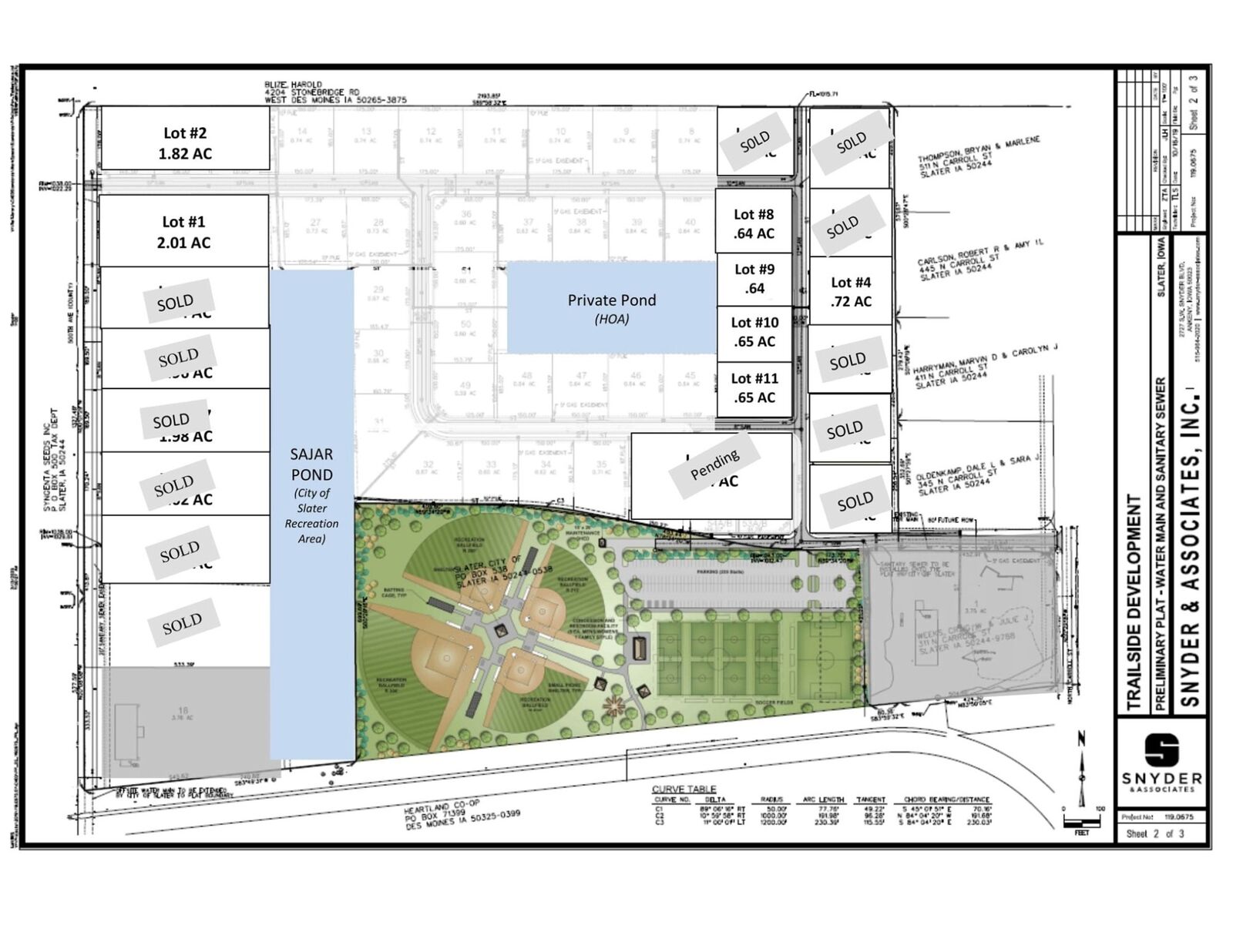
504 500th Avenue Slater, IA 50244
727578
1.82 acres
Land
Story County
Listed By
IOWA AOR
Last checked Nov 30 2025 at 10:03 PM GMT-0500
- Utilities: Electricity Available, Water Source: Public
- Sewer: Public Sewer
Estimated Monthly Mortgage Payment
*Based on Fixed Interest Rate withe a 30 year term, principal and interest only
Description